"Kenneth" se intensifica a huracán categoría 3 pero sigue muy lejos de México
El ciclón se localiza a más de 1.100 kilómetros al sur-suroeste de Cabo Corrientes.
Es el undécimo huracán de la temporada por la costa del Pacífico mexicano.
El ciclón se localiza a más de 1.100 kilómetros al sur-suroeste de Cabo Corrientes.
Es el undécimo huracán de la temporada por la costa del Pacífico mexicano.
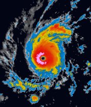
El huracán "Kenneth", que se encuentra sobre el océano Pacífico, aumentó de intensidad en las últimas horas hasta alcanzar la categoría 3 en la escala Saffir Simpson de cinco niveles, pero se encuentra muy lejos de las costas de México y no representa ningún peligro para el país.
El Servicio Metorológico Nacional (SMN) informó a las 04:30 hora local (10:30 GMT, 06:30 en Chile) de este martes que el ciclón se localiza a más de 1.100 kilómetros al sur-suroeste de Cabo Corrientes, en el estado de Jalisco, y a 1.145 de Cabo San Lucas, en el estado de Baja California Sur, cada vez más alejado de las costas de México.
"Kenneth" se desplaza hacia el oeste a 19 kilómetros por hora con vientos sostenidos de 205 kilómetros por hora y rachas de hasta 250 kilómetros.
El SMN, dependiente de la Comision Nacional del Agua (Conagua), informa que el huracán "seguirá fortaleciéndose en el transcurso del día" cada vez más lejos de la costa occidental de México, por lo que no hay zona de alerta ni se le ha asignado al ciclón ningún índice de peligrosidad.
"Kenneth" es el undécimo huracán de la temporada por la costa del Pacífico mexicano, en una temporada con bastantes huracanes pero de los que pocos han tocado tierra.