Huracán "Rina" sube a categoría dos mientras se aproxima a Yucatán

Publicado:
Autor: Cooperativa.cl

Podría seguir fortaleciéndose y convertirse en un huracán de categoría mayor.

Se espera que experimente un giro gradual hacia el noroeste.

contenido de servicio
Llévatelo:

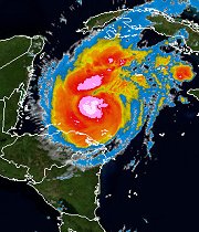
El huracán "Rina" ganó este martes intensidad al subir a categoría 2, con vientos máximos sostenidos de 160 kilómetros por hora, mientras se aproxima a la costa este de la península de Yucatán (México), informó el Centro Nacional de Huracanes (CNH) de Estados Unidos.

"ImagenRina" se halla 345 kilómetros al suroeste de la isla Gran Caimán y 490 kilómetros al este-sureste de Chetumal, en la península mexicana de Yucatán, y se desplaza lentamente con una velocidad de traslación de 6 kilómetros por hora, indicó el CNH en su boletín de las 12.00 GMT.

Los meteorólogos del CNH advirtieron, además, de que "Rina" podría seguir fortaleciéndose y convertirse en las próximas horas o en la mañana del miércoles en un huracán de categoría mayor en la escala de Saffir Simpson, de un máximo de cinco.

Se ha emitido una vigilancia de huracán (paso del sistema en 48 horas) para la costa este de Yucatán desde el norte de Punta Gruesa hasta Cancún y está vigente una vigilancia de tormenta desde Chetumal hasta Punta Gruesa.

"Rina" se mueve hacia el oeste-noroeste y se espera que experimente un giro gradual hacia el noroeste en las próximas 48 horas.

Según un probable patrón de trayectoria del CNH, el centro de "Rina" se aproximará a la costa este de la península yucateca el próximo jueves.

En lo que va de la temporada de huracanes en la cuenca atlántica, que comenzó el 1 de junio y finaliza el 30 de noviembre, se han formado 17 tormentas tropicales, incluida "Rina", de las que cinco se convirtieron en huracanes, tres de ellos gran intensidad.

La Administración Nacional de Océanos y Atmósfera (NOAA, por su sigla en inglés) pronosticó que durante la temporada se formarán entre 14 y 19 tormentas, de las que de 7 a 10 se transformarán en huracanes.

De ellos, entre 3 y 5 podrían ser huracanes de gran intensidad, con vientos superiores a los 178 kilómetros por hora.

LEER ARTICULO COMPLETO

Suscríbete a nuestro newsletter