Corte de agua afecta a cuatro comunas de la Región Metropolitana

Publicado:
Autor: Redacción Cooperativa

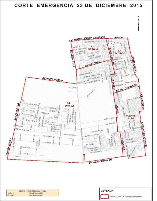
Afecta a algunos sectores de las comunas de Puente Alto, La Granja, La Pintana y La Florida.

Se debe a una falla detectada en la red que alimenta a uno de sus estanques, en el sector del Peñón Bajo.

Corte de agua afecta a cuatro comunas de la Región Metropolitana
 UNO Referencial

La empresa dispuso puntos de abastecimientos durante toda la noche.

contenido de servicio
Llévatelo:

Aguas Andinas confirmó que el corte de emergencia del suministro, que comenzó a las 23:00 horas en cuatro comunas de la Región Metropolitana, se extenderá al menos hasta las 09:00 horas.

La interrupción afecta a algunos sectores de las comunas de Puente Alto, La Granja, La Pintana y la Florida, como consecuencia de una falla detectada en la red que alimenta a uno de sus estanques, ubicado en el sector de Peñón Bajo.

Si bien en un principio se estimó que a las 06:00 horas de este jueves se iniciará la reposición del suministro, Aguas Andinas informó que retrasó el proceso hasta las 09:00 horas.

En conversación con El Diario de Cooperativa, el jefe de comunicaciones de Aguas Andinas, Christian Esquivel, explicó que cerca de las 08:00 horas se iniciará restablecimiento del suministro, el que se materializará en los hogares unas dos horas más tarde.

"70 mil clientes (resultaron afectados) y cerca de las 09:00 horas ya empezaría a percibirse el agua en la red para las personas afectadas", dijo Esquivel.

Además indicó que la suspensión del suministro se debió a "una avería que detectamos ayer (miércoles) en una válvula que abastece los estanques del sector, por lo tanto hubo que planificar rápidamente un corte de emergencia".

En cuanto al retraso en la reposición del servicio, previsto inicialmente para las 06:00 horas, el jefe de comunicaciones de Aguas Andinas "lamentablemente hubo problemas en el trabajo al interior de la cámara, lo que significó retrasar en un par de horas, en tres horas, la reposición del servicio".

Asimismo remarcó que al ser un corte de emergencia, no se pudo avisar con antelación a las familias.

Posteriormente Esquivel indicó que algunos clientes ya cuentan con el suministro y que la totalidad del servicio estará repuesto a eso de las 11:00 horas.

"Los clientes poco a poco van percibiendo la llegada del agua, eso es en forma gravitacional, desde los sectores más altos hasta los sectores más bajo. Estimamos que va a estar normalizada en un 100 por ciento la red durante la mañana, pero a esta hora tenemos clientes en algunas zonas más altas que ya están con el servicio normalizado", afirmó en Cooperativa el jefe de comunicaciones de Aguas Andinas.

Debido a problemas en la reparación hemos retrasado la reposición para las 9 de la mañana aproximadamente.Gracias @Muni_LaGranja

 

Perímetro del corte

Imagen foto_00000003
El mapa de los sectores afectados por el corte.
La compañía dispuso de un plan de contingencia que considera la implementación de puntos de abastecimiento alternativo que operarán durante toda la noche, que serán los siguientes:
  • Joaquin Edwards Bello – José Santos González, comuna de la Granja.
  • San José de La Estrella – Vicuña Mackenna, comuna de La Granja.
  • Julio Cesar – San José de La Estrella, comuna de La Florida.
  • Avenida Santa Rosa N° 12975, comuna de La Pintana.
  • El Canelo N° 1007, comuna de La Pintana.
  • Pedro Prado 12221, comuna de La Pintana
  • Porto Alegre 12537, comuna de La Pintana
  • Creta- Porvenir, comuna de Puente Alto.
  • Ejercito Libertador- Omar Herrera Gutiérrez, comuna de Puente Alto.

LEER ARTICULO COMPLETO

Suscríbete a nuestro newsletter