Tifón en Filipinas dejó al menos cuatro muertos y 25.000 evacuados

Publicado:
Autor: Redacción Cooperativa

La primera víctima falleció mientras navegaba este sábado por las costas Filipinas.

Cerca de 30 provincias del norte de Filipinas están bajo alerta.

Tifón en Filipinas dejó al menos cuatro muertos y 25.000 evacuados
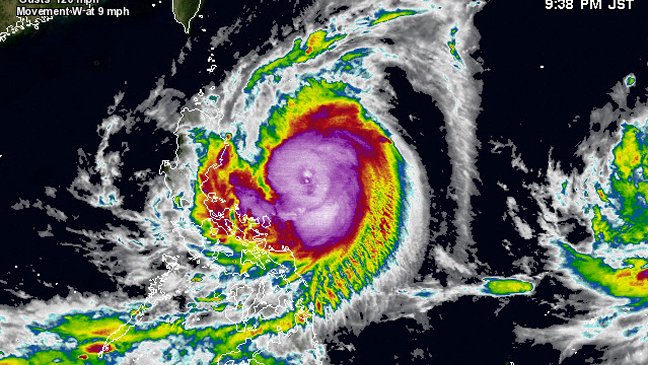
 NASA

Imagen satélite del tifón Koppu impactando las costas Filipinas

contenido de servicio
Llévatelo:

Al menos cuatro personas muertas y 25.000 evacuados dejó el tifón Koppu, que golpeó este domingo el norte de Filipinas con vientos sostenidos de 175 kilómetros por hora y ráfagas de hasta 210.

La primera víctima falleció el sábado después de que el bote en el que viajaba naufragara por el oleaje provocado por el tifón. Otras dos personas fallecieron ahogadas en la localidad de Palayan y un varón murió hoy en la ciudad de Quezon, en el Área Metropolitana de Manila, cuando le cayó encima un árbol.

Fuentes oficiales de las zonas afectadas por el tifón han indicado que el ha inundado extensas zonas, dañado seriamente la vegetación y plantaciones de la zona y tumbado numerosos postes eléctricos, al tiempo que se han cancelado 24 vuelos nacionales e internacionales.

El tifón Koppu tocó tierra en la localidad de Casiguran, en la costa noreste de Filipinas, y se espera que azote territorio filipino durante días, según informó la Agencia Meteorológica de Filipinas (PAGASA).

La lentitud con la que se traslada la tormenta convierte a Koppu en un peligroso tifón, ya que permanecerá sobre territorio filipino hasta el próximo miércoles y azotará la región con fuertes vientos e intensas precipitaciones durante cerca de 4 días.

Consecuencias en la región

Según la compañía eléctrica Meralco, unos 200.000 de sus clientes no tienen luz, mientras que el Consejo Nacional de Gestión y Reducción de Riesgo de Desastres apuntó que 2 ciudades y 22 municipios del norte de Filipinas se encuentran en la misma situación.

Asimismo, las autoridades se encuentran en alerta por el posible desbordamiento de varios ríos, entre ellos el Marikina y el Magat, lo que llevaría a más inundaciones que podrían afectar numerosas localidades.

"Quizá este tifón no tenga los vientos más fuertes que hemos visto, pero es una tormenta excepcionalmente peligrosa por la lentitud con la que se traslada y la cantidad de precipitaciones que va a dejar", aseguró el director ejecutivo del Consejo Nacional de Gestión y Reducción de Riesgo de Desastres del país, Alexander Pama.

PAGASA ha alertado de intensas precipitaciones en las zonas afectadas y detallado que en concreto en la región de Nueva Écija podrían llegar a caer 30 litros por metro cuadrado en una hora. La agencia meteorológica informó además de la posibilidad de que se produzca una marejada marítima de entre 3 y 4 metros en las zonas costeras.

Por otra parte, unas 5.000 personas se encuentran en varios puertos de la región a la espera de poder continuar su viaje, ya que se ha prohibido navegar a todas las embarcaciones, mientras que 10 carreteras y 8 puentes de la zona afectada son intransitables.

Entre 15 y 20 tifones recorren todos los años Filipinas durante la temporada lluviosa, que empieza por lo general en junio y concluye en noviembre. En noviembre de 2013, Haiyan, uno de los más potentes de la historia, causó 6.300 muertos, más de 1.000 desaparecidos y 14 millones de damnificados.

LEER ARTICULO COMPLETO

Suscríbete a nuestro newsletter